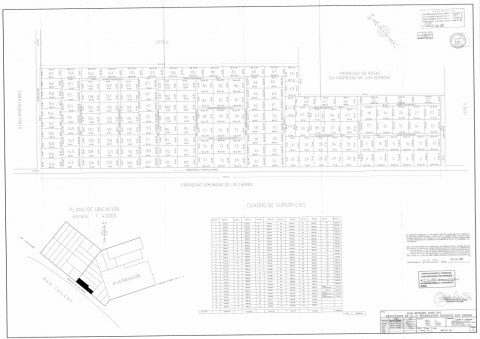
2006 Chile, Land at Punta Choros subdivided into 161 individual one acre lots.

WEBSITE

Land in Chile subdivided into 161 vacation lots, this year (2016) ten lots were sold. Price for sales of future lots between 3,300,000 to 7,500,000 pesos or $4,286.00  to $10,714.00 dollars

Total value of sales at the lower value  $1,100,186.00 dollars  

Interactive link

Download subdivision in JPG or PDF

metroecho.com/planos.pdf     metroecho.com/planos.jpg