WEBSITE
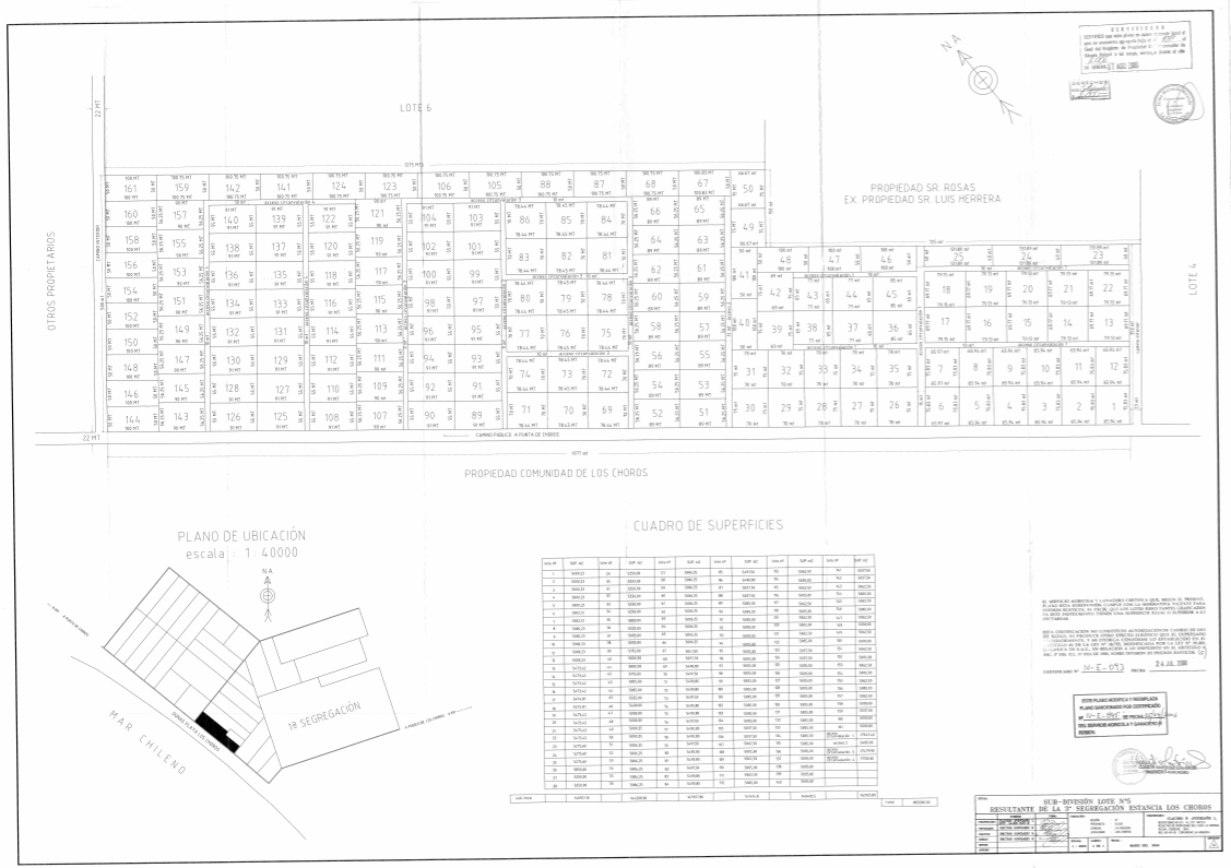
Land in Chile subdivided into 161 vacation lots, this year (2016) ten lots were sold. Price for sales of future lots between 3,300,000 to 7,500,000 pesos or $4,286.00 to $10,714.00 dollars
Total value of sales at the lower value $1,100,186.00 dollars
Interactive link
Download subdivision in JPG or PDF
metroecho.com/planos.pdf metroecho.com/planos.jpg